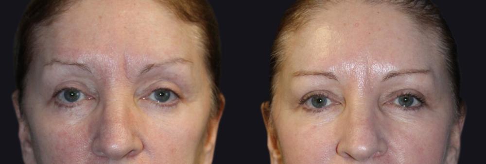
Non-surgical facelift with BOTOX and fillers
When combined with Juvederm or other Dermal Fillers, BOTOX injections can create a non-surgical facelift, often called a "liquid facelift." Our team of experienced professionals, including Dr. Leonard Miller, Dr. Sean Doherty, Dr. Akshay Sanan, Dr. Vickram Tandon, and Dr. Melissa Michelon, specializes in achieving natural-looking results by adopting a less-is-more approach. Boston Magazine recently recognized Dr. Miller as the Best of Boston for BOTOX.
























